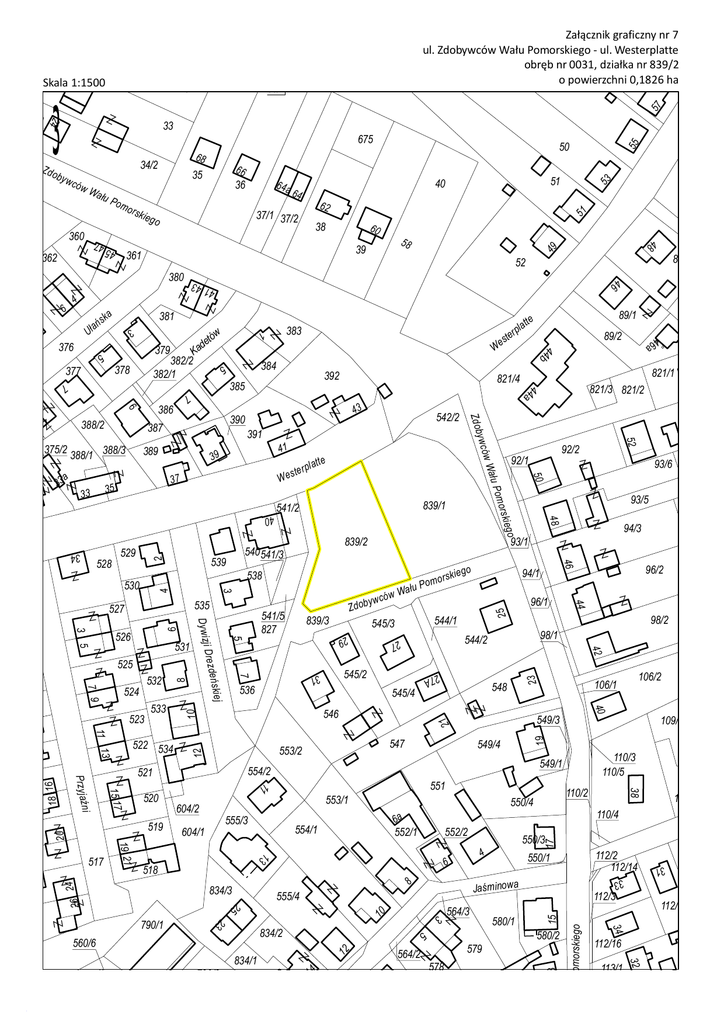
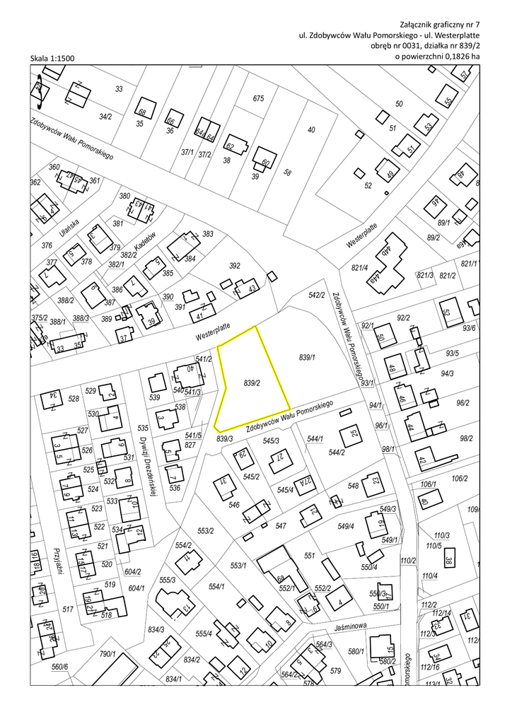
Skala 1:1500 Załącznik graficzny nr 7 ul. Zdobywców Wału

Transkrypt

Skala 1:1500 Załącznik graficzny nr 7 ul. Zdobywców Wału
Û
30/4
57
³
32
Û
33
675
Wa
47
Û
o rsk
62
38
60
58
39
361
46
Û
41 4
3
Û
łu Po
Û
3
580/2
Û
578
112/16
113/1
32
564/2
579
112/15
34
580/1
ców Wału Pomorskiego
11
Û
8
564/3
Û
112/3
15
12
25
21
Û
10
Û
Û
Jaśm inowa
5
7
Û
14
112/2
112/14
550/1
13
Û
34
Û
Û
Û
Û
Û
4
26 2
23
Û
2
4
6
8
31
Û
12
Ś w ie
550/3
4
6
109/2
110/4
17
9
9
20
27A
Û
23
Û
19
7
14 12
29
27
552/2
10
Û
25
1
790/2
110/3
110/5
38
552/1
109/1
110/2
550/4
Û
5
Û
5
40
551
6a
106/2
106/1
40
549/4
13
19 21
Û
834/1
a
98/2
549/3
553/1
834/2
Û
42
547
554/1
96/2
98/1
548
555/4
560/6
Û
549/1
555/3
604/1
834/3
no
w
96/1
554/2
604/2
94/3
44
545/4
518
790/1
94/1
544/2
545/2
553/2
93/5
46
519
48
Û
K lo
kiego
ni
15 17
520
kiego
544/1
545/3
546
521
Û
o rs
93/6
Û
Û
Û
522 534 Û
yw c
om
ału P
ów W
Û
11 13
Przyjaź
Û
7
523
Û
517
533
536
s kie j
7 9
532
Zdob
839/3
5
Û
524
Û
rez deń
525
Û
531
Û
541/5
827
D
Dy w izji
3 5
526
Û
3
535
527
Û
93/1
538
530
Û
839/2
540 541/3
539
Û
m o rs
839/1
Û
Û
529
92/2
92/1
50
Û
te
w Wa
W
37
t
r pl a
e s te
52
41
y w có
Û
542/2
541/2
528
821/3 821/2
33
3
7
43
Û
391
39
35
33
31
821/1
821/4
44
a
390
389
89/2
Zdob
Û
ÛÛ
a
33
392
Û
375/2 388/1 388/3
384
385
Û
387
Û
386
388/2
We
54
382/2
382/1
378
383
a
379
377
89/1 Û
te
46
tów
de
a
K
at
rpl
ste
31
381
Û
a
44
b
376
sk
1
ł ań
Û
Û
U
18 16
88/1
52
4
8
Û
55
51
40
64
37/1 37/2
ieg o
380
6
64a
Û
362
om
66
36
35
48
360
łu P
45
có w
50
51
34/2
49
Û
Zd o
by w
68
53
24
34/1
26
Skala 1:1500
Załącznik graficzny nr 7
ul. Zdobywców Wału Pomorskiego - ul. Westerplatte
obręb nr 0031, działka nr 839/2
o powierzchni 0,1826 ha
rk o w
a