Wykaz nieruchomości

Transkrypt

Wykaz nieruchomości
WYKAZ NIERUCHOMOŚCI STANOWIĄCYCH WŁASNOŚĆ GMINY MIASTA GDYNI
przeznaczonych do sprzedaży w formie przetargu ustnego nieograniczonego
Wykaz stanowi załącznik do Zarządzenia nr 1573 /15/VII/P Prezydenta Miasta Gdyni z
dnia 07 kwietnia 2015r.
GD1Y/00001140/8
K K
W M
Nr działki
Pow.
49
G
D
Y
N
I
A
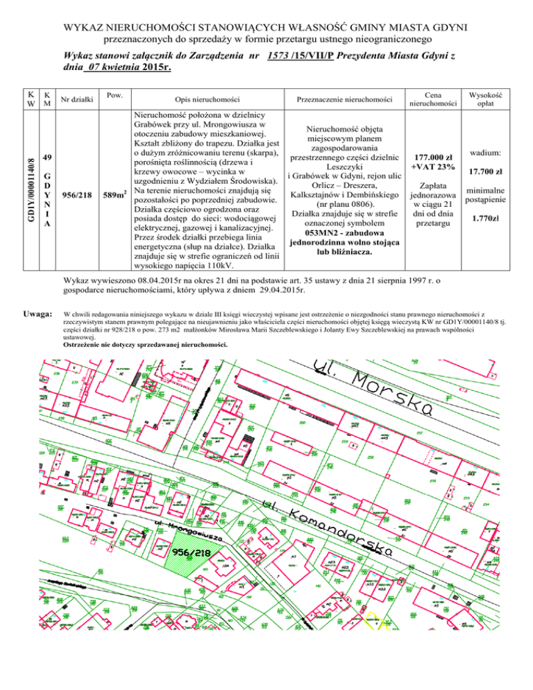
956/218
589m2
Opis nieruchomości
Przeznaczenie nieruchomości
Nieruchomość położona w dzielnicy
Grabówek przy ul. Mrongowiusza w
Nieruchomość objęta
otoczeniu zabudowy mieszkaniowej.
miejscowym planem
Kształt zbliżony do trapezu. Działka jest
zagospodarowania
o dużym zróżnicowaniu terenu (skarpa),
przestrzennego części dzielnic
porośnięta roślinnością (drzewa i
Leszczyki
krzewy owocowe – wycinka w
i Grabówek w Gdyni, rejon ulic
uzgodnieniu z Wydziałem Środowiska).
Orlicz – Dreszera,
Na terenie nieruchomości znajdują się
Kalksztajnów i Dembińskiego
pozostałości po poprzedniej zabudowie.
(nr planu 0806).
Działka częściowo ogrodzona oraz
Działka znajduje się w strefie
posiada dostęp do sieci: wodociągowej
oznaczonej symbolem
elektrycznej, gazowej i kanalizacyjnej.
053MN2 - zabudowa
Przez środek działki przebiega linia
jednorodzinna wolno stojąca
energetyczna (słup na działce). Działka
lub bliźniacza.
znajduje się w strefie ograniczeń od linii
wysokiego napięcia 110kV.
Cena
nieruchomości
177.000 zł
+VAT 23%
Zapłata
jednorazowa
w ciągu 21
dni od dnia
przetargu
Wysokość
opłat
wadium:
17.700 zł
minimalne
postąpienie
1.770zł
Wykaz wywieszono 08.04.2015r na okres 21 dni na podstawie art. 35 ustawy z dnia 21 sierpnia 1997 r. o
gospodarce nieruchomościami, który upływa z dniem 29.04.2015r.
Uwaga:
W chwili redagowania niniejszego wykazu w dziale III księgi wieczystej wpisane jest ostrzeżenie o niezgodności stanu prawnego nieruchomości z
rzeczywistym stanem prawnym polegające na nieujawnieniu jako właściciela części nieruchomości objętej księgą wieczystą KW nr GD1Y/00001140/8 tj.
części działki nr 928/218 o pow. 273 m2 małżonków Mirosława Marii Szczeblewskiego i Jolanty Ewy Szczeblewskiej na prawach wspólności
ustawowej.
Ostrzeżenie nie dotyczy sprzedawanej nieruchomości.