C:\Users\Wojtek\Desktop\Moja firma\Moje projekty

Transkrypt

C:\Users\Wojtek\Desktop\Moja firma\Moje projekty
granica działek 2/3 i 2/1
granica działek 2/3 i 2/1
0,15
62,29
62,04
0,15
62,19
16 1
5,00
miejsca postojowe
15 11
12
14
2%
0,15
1
11
62,42
12
62,07
5
14
11
14
62,09
13
3,50
14
11
3%
22
13
6,00
jezdnia manewrowa
60,38
5
62,07
12
2%
miejsce postojowe
13
12
0,20
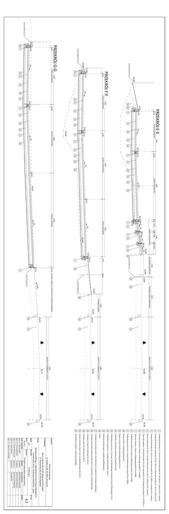
PRZEKRÓJ E-E
62,52
15 16
62,09
15 11
13
0,20
5,00
miejsca postojowe
PRZEKRÓJ F-F
granica działek 2/3 i 2/1
62,05
2%
PRZEKRÓJ G-G
61,93
61,83
16 1
62,35
12
0,20
62,33
5
14
11
3%
12
22
6,00
jezdnia manewrowa
13
14
61,91
3%
22
6,00
jezdnia manewrowa
13
62,02
62,27
62,57
3,00
0,08 0,92
4
62,71
0,08 0,92
61,84
12
2%
4
62,85
dojście do przystanku
2%
11
0,15 0,85
62,53
62,26
1
5,00
miejsca postojowe
3%
8,30
wyjazd z parkingu
4%
2%
63,00
13
granica działek 2/3 i 1
0,15
62,52
16
zieleń
62,99
2,00
przystanek autobusowy
20
62,42
1
62,89
19
20
62,83
2,00
istniejący chodnik
3,50
istniejąca zatoka autobusowa
18
62,87
granica działek 2/3 i 1
granica działek 2/3 i 1
ist 8%
0,15 istniejacy wyjazd o nawierzchni mineralno-asfaltowej
62,25
1
19
62,74
19
62,59
19
17
17
17
9,00
jezdnia ul. Gdyńskiej 2 x 4,50 m
62,88
9,00
jezdnia ul. Gdyńskiej 2 x 4,50 m
62,81
9,00
jezdnia ul. Gdyńskiej 2 x 4,50 m
62,77
62,78
62,71
62,67
62,90
19
62,75
19
62,78
19
21
20
19
18
17
16
15
14
13
12
11
10
9
8
7
6
5
4
3
2
1
Geowłóknina zgodna z zaleceniami geologa
Bariera ochronna typu U-12a na ławie betonowej 30 x 35 cm
Istniejący opornik betonowy 8 x 30 cm
Istniejący kraweżnik betonowy 20 x 30 cm
Istniejąca konstrukcja zatok autobusowych o nawierzchni z kostki betonowej
Istniejąca konstrukcja jezdni ulicy Gdyńskiej o nawierzchni mineralno-asfaltowej
Zieleń
Warstwa wyrównująca z piasków kwalifikowanych
Podbudowa zasadnicza z chudego betonu grubości 20 cm
Podbudowa poocnicza z kruszywa stabilizowanego cementem o Rm=5 MPa grubości 12 cm
Podsypka cementowo-piaskowa 1:4 grubości 4 cm
Nawierzchnia z kostki betonowej grubości 8 cm
Nawierzchnia z kostki granitowej 9/11
Podbudowa pomocnicza z tlucznia kamiennego grubości 20 cm (KR6)
Podbudowa zasadnicza z betonu asfaltowego gruboci 18 cm (KR6)
Warstwa wiażąca z betonu asfaltowego grubości 8 cm (KR6)
Warstwa ścieralna z betonu asfaltowego grubości 5 cm (KR6)
Ściek dwurzędowy z kostki betonowej 20 x 10 cm grubości 8 cm na ławie betonowej 22 x 25 (30) cm
Opornik betonowy 8 x 30 cm na ławie betonowej 30 x 30 cm z betonu B 15 z oporem
Krawężnik betonowy 20 x 30 cm na ławie betonowej 30 x 35 (40) cm z betonu B 15 z oporem
Krawężnik betonowy trapezowy 21(15) x 30 cm na ławie betonowej 20 x 35 cm z betonu B 15
Krawężnik betonowy 15 x 30 cm na ławie betonowej 30 x 30 (35) cm z betonu B 15 z oporem
Przekroje II
mgr inż. Maciej Fajfer
Imię i Nazwisko
Drogowa
Drogowa
Branża:
246/84/PW
WKP/0152/PWOS/04
WKP/0250/PWOD/07
WKP/0296/POOD/09
Nr uprawnień:
Studium:
Rysunek:
Podpis:
4.2
Nr rys:
Budowa parkingu z odwodneiniem przy stacji kolejowej w
Czerwonaku wraz z budową oświetlenia - zjazd
Biuro Inżynierskie DUKT Wojciech Andrzejak
ul. Poznańska 38, 62-070 Dopiewo
Gmina Czerwonak
ul. Źródlana 39, 62-004 Czerwonak
22
Inwestor:
Projektujacy:
Temat:
1:50
Skala:
Data:
mgr inż. Eliza Jankowska
Sanitarna
Projekt budowlano-wykonawczy
mgr inż. Paweł Wiśniewski
Sanitarna
06.2012
mgr inż. Janina Górna
mgr inż. Wojciech Andrzejak